02 сентября 2019 в 18:28

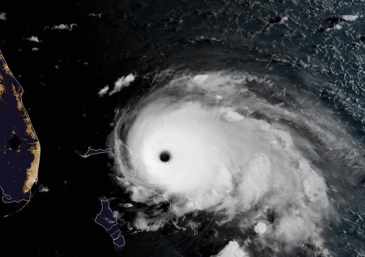
Ураган «Дориан» снизился до четвёртой категории

Фото: Noaa/ZUMAPRESS.com/Global Look Press
Подписывайтесь на нас в MAX

Ураган «Дориан» в Атлантическом океане снизился с пятой до четвёртой категории. По данным Национального центра США по слежению за ураганами, скорость ветра в настоящее время составляет 250 км/ч.

Дориан — крайне опасный ураган четвёртой категории по шкале ураганов Саффира — Симпсона. Дориан будет оставаться мощным ураганом на протяжении следующих нескольких дней, — сообщили синоптики.

Как писал News.ru, российские космические аппараты дистанционного зондирования Земли провели съёмку урагана «Дориан», который обрушился на северную часть Багамских островов. Эти снимки спасатели используют для оценки масштабов бедствия и восстановления коммуникаций. Максимальные порывы ветра ранее достигали 300 км/ч.